>

Newsroom Archive

NuScale Power's selection of BWXT to begin optimizing the engineering design of NuScale's SMR for manufacture signals the company's move into the manufacturing phase and the company’s attention to optimizing fabrication processes and containing first-of-a-kind construction costs.

In a unanimous vote crucial to the future of the only nuclear power plant construction project in the United States, all four co-owners of the two Westinghouse AP1000 nuclear reactors being built at Georgia Power’s Vogtle site in Waynesboro, Georgia, agreed this week to continue the project.

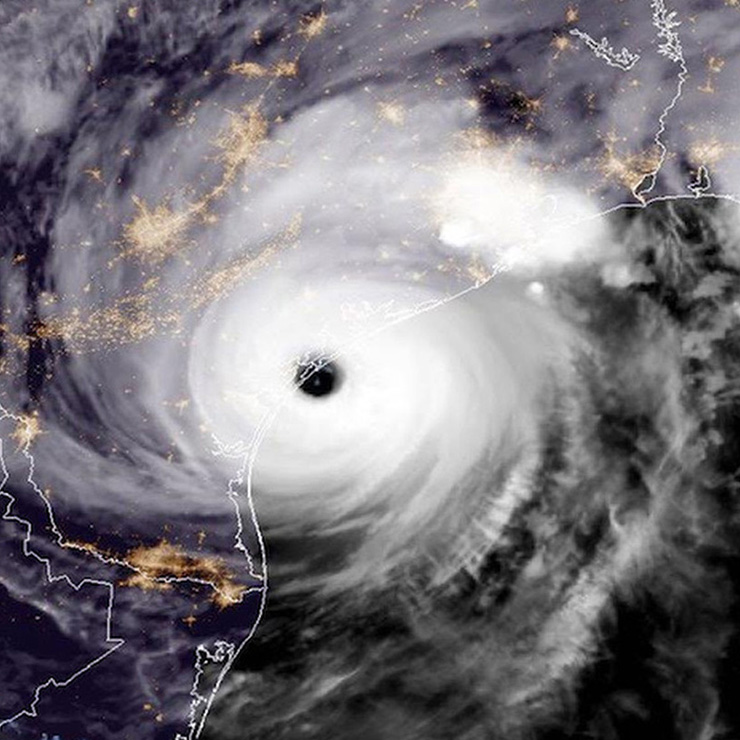
The resilience of the nation’s 98 nuclear power reactors in the face of extreme events is a constant, however unpredictable the events themselves may be—Hurricane Florence included. Resilience is a measure of these facilities’ outstanding ability to withstand whatever Mother Nature can throw at them and quickly return to providing life-saving electrical service when people and businesses need it most.

NEI Vice President for Suppliers, New Reactors and International Programs Dan Lipman, and IAEA Deputy Director General Mikhail Chudakov signed a unique cooperation agreement on Sept. 20, enabling direct information exchange between NEI and the IAEA on issues relevant to the development, construction, operation and decommissioning of civilian nuclear power plants.

blog

A Hero Retires

After 49 years of safe, clean, reliable operation, a nuclear power plant retires.

Before leaving town this week, Congress approved its energy and water spending package for fiscal 2019. The bill approves $1.33 billion in funding for the Department of Energy’s (DOE’s) nuclear energy research, development and deployment programs, an increase of $121 million over fiscal 2018.

The U.S. nuclear industry is making good progress on its innovative program to develop and install advanced accident tolerant fuel (ATF) in the existing reactor fleet by the early- to mid-2020s.

The U.S. House of Representatives has passed the Nuclear Energy Innovation Capabilities Act (NEICA), legislation designed to speed advanced reactors to market. Passed by the Senate earlier this year, the bill now goes to the White House for President Trump’s signature.

A bipartisan group of U.S. senators has introduced the Nuclear Energy Leadership Act (NELA), a bill designed to help America recapture its lead in nuclear energy technology in the face of increasing global competition. The legislation includes a comprehensive proposal to fund research, development and accelerated deployment of advanced nuclear energy technologies.

Through nearly two decades of running a successful student program at the Radiation Protection Forum, students are set up for a world of opportunity, in an area of need for our industry.